Da nổi đốm nâu không ngứa là tình trạng tăng sắc tố melanin do nhiều nguyên nhân khác nhau gây ra. Tuy không phải là dấu hiệu của bệnh nguy hiểm, nhưng nó lại khiến diện mạo kém xinh và làm nhiều người phải tự ti với vẻ ngoài của mình. Vì thế, việc loại bỏ các đốm nâu trên mặt, tay và chân cũng là một vấn đề được nhiều người quan tâm đến. Có cách nào an toàn và hiệu quả để xử lý những sắc tố tối màu này hay không? Cần làm gì để phòng ngừa đốm nâu trên da?
Ngọc Dung sẽ giúp bạn hiểu rõ nguyên nhân dẫn đến tình trạng này, từ đó đưa ra được các giải pháp hữu hiệu nhất để điều trị đốm nâu trên da mặt, da tay hay chân, cũng như cách phòng ngừa hiệu quả nhất ngay trong bài viết này. Cùng tham khảo nhé!

Nguyên nhân da nổi đốm nâu không ngứa
Da bị đốm nâu trên mặt hay trên các vùng khác có thể xảy ra do nhiều nguyên nhân khác nhau. Việc tìm hiểu kỹ nguyên nhân sẽ giúp chúng ta có thể phòng ngừa cũng như điều trị đúng cách, tránh tình trạng đốm nâu tăng kích thước và phát triển dày đặc trên da.
Dưới đây chính là 6 nguyên nhân dẫn đến tình trạng da nổi đốm nâu không ngứa, không rát mà bạn nên biết:
Da tiếp xúc với ánh nắng mặt trời (tia cực tím)
Nguyên do xuất hiện đốm nâu trên da mặt, tay và chân là vì đây chính là những vị trí có diện tích tiếp xúc lớn với ánh nắng mặt trời. Trong ánh nắng mặt trời lại chứa nhiều tia UV độc hại cho da, có thể làm tăng số lượng sắc tố melanin trên bề mặt dẫn đến việc da nổi đốm nâu không ngứa, màu sắc và kích cỡ thì khác nhau tùy vào mức độ tác động của các tia gây hại này.

Xuất hiện đốm nâu trên da do thay đổi nội tiết tố
Da nổi đốm nâu trên da không gây ngứa cũng có liên quan đến vấn đề nội tiết tố. Bởi vì các thay đổi nội tiết tố trong cơ thể, chẳng hạn như trong thai kỳ, sau sinh, kinh nguyệt hoặc cơ thể trong giai đoạn lão hóa, tiền mãn kinh, có thể gây ra sự thay đổi trong sắc tố da và dẫn đến bị nổi đốm nâu trên da. Các đốm này có kích cỡ và độ đậm nhạt khác nhau, còn được gọi là đốm nâu nội tiết.
Trên da xuất hiện đốm nâu do viêm da cấp tính
Một số tình trạng viêm da cấp tính như viêm da tiết bã, viêm da cơ địa, hoặc viêm da dị ứng cũng có thể làm da bị đốm nâu. Nếu ở tình trạng nhẹ thì da nổi đốm nâu không ngứa. Nhưng nếu không kịp thời chữa trị sẽ dẫn đến viêm da cấp độ nặng hơn, không chỉ gây ngứa mà còn làm rát da, chảy máu và thay đổi sắc tố toàn thân. Hầu hết các trường hợp này, ngứa thường là một triệu chứng phổ biến đi kèm.

Thay đổi sắc tố da do tác dụng phụ của thuốc điều trị
Nếu xuất hiện đốm nâu trên da mặt, không hẳn là do bạn bảo vệ da, chống nắng không tốt, mà có thể là do tác dụng phụ của một số thuốc điều trị dẫn đến tăng sắc tố melanin.
Chẳng hạn như thuốc chống trầm cảm, thuốc chống co giật và thuốc chống vi khuẩn, có thể làm ảnh hưởng đến hoạt động của một số chức năng trong cơ thể, kích hoạt quá trình sản xuất melanin trong da dẫn đến việc da nổi đốm nâu không ngứa, không đau rát.
Nhưng đây cũng không phải là vấn đề quá nghiêm trọng, bởi sự thay đổi sắc tố này chỉ là tạm thời, sẽ mờ dần khi ngừng dùng thuốc hoặc điều chỉnh liều lượng. Tuy nhiên, nếu có bất kỳ biểu hiện không bình thường khác hoặc lo ngại về tác dụng phụ của thuốc, bạn nên tham khảo ý kiến bác sĩ để được tư vấn và theo dõi thích hợp.
Ung thư da làm da xuất hiện những đốm nâu
Trong một số trường hợp, trên da xuất hiện những đốm nâu có thể là dấu hiệu của ung thư da, chẳng hạn như ung thư tế bào đáy (basal cell carcinoma) hoặc ung thư biểu mô (melanoma), trong đó ung thư tế bào đáy sẽ chiếm phần lớn. Nhưng trường hợp này thường kèm theo các triệu chứng khác như đau, chảy màu, đốm nâu tăng kích thước nhanh và khác với hình dạng đốm nâu thông thường.
Vì thế, nếu da nổi đốm nâu không ngứa, cũng không kèm theo biểu hiện lạ nào như trên thì bạn có thể yên tâm. Trường hợp muốn chắc chắn hơn thì bạn có thể đến cơ sở y tế để được chỉ định kiểm tra và làm các xét nghiệm cần thiết.

Một số nguyên nhân khác làm da nổi đốm nâu không ngứa
Ngoài các nguyên nhân da nổi đốm nâu không ngứa được đề cập bên trên, mặt bị đốm nâu hay mu bàn tay, cánh tay bị nổi đốm nâu còn có thể do các nguyên nhân khác gây nên.
Ví dụ như vi khuẩn, nấm có thể gây ra mụn đầu đen, mụn đầu trắng, dẫn đến thâm và thay đổi màu da. Hoặc là do cơ thể bị lão hóa, ảnh hưởng đến quá trình sản xuất melanin và dẫn đến hình thành các đốm đồi mồi trên da.
Da nổi đốm nâu không ngứa cũng có thể do gen di truyền. Nếu gia đình bạn có phần lớn người bị tình trạng này thì khả năng cao bạn cũng sẽ gặp phải trong giai đoạn nào đó. Với trường hợp này thì việc điều trị hay phòng ngừa cũng sẽ khó có hiệu quả.
Việc xác định chính xác nguyên nhân của các đốm nâu không ngứa trên da đòi hỏi một quá trình chẩn đoán toàn diện. Điều này bao gồm việc thăm khám da, lấy mẫu da để xét nghiệm, và tìm hiểu về tiền sử bệnh và triệu chứng khác.
Khi biết được nguyên nhân chính xác, bác sĩ có thể đưa ra phác đồ điều trị hoặc quản lý phù hợp để giảm bớt hoặc loại bỏ các đốm nâu không ngứa trên da. Bạn có thể liên hệ với chúng tôi thông qua FORM dưới đây để được cung cấp thêm các thông tin này:
Phân biệt đốm nâu với tình trạng viêm da khác
Da bị đốm nâu không ngứa rất dễ bị nhầm lẫn với nhiều tình trạng tăng sắc tố, viêm da khác. Nhưng nếu xem xét thật kỹ thì chúng hoàn toàn khác nhau, nhất là khi so sánh đốm nâu cùng với nám và tàn nhang.
Nếu bạn vẫn chưa thể phân biệt được thì có thể tham khảo các chi tiết dưới đây:
Phân biệt đốm nâu không ngứa và ngứa
| Đốm nâu không ngứa (nám, tàn nhang) | Đốm nâu gây ngứa | |
| Vị trí xuất hiện | Da nổi đốm nâu không ngứa thường xuất hiện ở những vùng da tiếp xúc nhiều với ánh nắng mặt trời và có sự đối xứng hai bên. | Đốm nâu gây ngứa do bệnh lý thường xuất hiện ở bất kỳ vị trí nào trên da, có cả ở bụng, nách và bẹn. |
| Kích thước | Nếu là nám thì thường xuất hiện với kích thước to, mảng lớn. Còn là tàn nhang thì hình dạng như đầu tăm, mọc san sát nhau. | Đốm nâu ngứa do viêm thường có kích thước như đầu đũa. |

Da bị nổi đốm nâu không ngứa phải làm sao? Cách trị đốm nâu hiệu quả
Mặt xuất hiện nhiều đốm nâu có thể do nhiều nguyên nhân, bao gồm tác động của ánh sáng mặt trời, sự tăng sản xuất melanin, thay đổi hormone, di truyền, tuổi tác, hoặc sử dụng một số loại thuốc. Việc xác định nguyên nhân cụ thể sẽ giúp chọn phương pháp điều trị hiệu quả.
Dưới đây là các cách xóa đốm nâu trên da mặt mà bạn có thể tham khảo qua:
Điều trị đốm nâu tàn nhang bằng công nghệ
Để trị đốm nâu hoặc nám, tàn nhang trên da mặt hiệu quả trong thời gian ngắn, các chuyên gia thường đề xuất các phương pháp công nghệ hiện đại, trong đó bao gồm:
- Laser: Phương pháp này sử dụng ánh sáng laser tác động lên các đốm nâu trên da. Ánh sáng laser có thể được điều chỉnh để tác động vào màu sắc melanin trong đốm nâu, làm mờ chúng và giúp màu da trở nên đồng nhất hơn. Quá trình điều trị laser thường an toàn và không gây đau đớn, thời gian hồi phục sau điều trị thường ngắn. Tuy nhiên, nên sử dụng loại laser nào để trị da nổi đốm nâu không ngứa thì có thể khác nhau tùy thuộc vào từng trường hợp cụ thể.
- IPL (Intense Pulsed Light): Phương pháp này sử dụng ánh sáng có tần số cao để giảm sự xuất hiện của đốm nâu trên da. Thiết bị IPL phát ra các tia sáng có tần số cao, tác động lên lớp da bị tác động, làm mờ đốm nâu và kích thích quá trình tái tạo da tự nhiên. Điều trị IPL không tổn thương sâu bên trong da, nhưng có thể yêu cầu phải điều trị liên tiếp nhiều buổi để đạt được hiệu quả như mong muốn..
- Peeling hóa học: Các hoạt chất thường sử dụng trong phương pháp này là axit Glycolic, TCA hoặc axit Salicylic. Chúng được áp dụng lên da để tẩy tế bào da chết và kích thích quá trình tái tạo da mới. Quá trình này sẽ cải thiện tình trạng da bị nổi đốm nâu, làm đều màu da. Nhưng để an toàn và hiệu quả, phương pháp này nên được thực hiện tại cơ sở chuyên nghiệp.
- Áp lạnh (Cryotherapy): Bằng cách sử dụng nitơ lỏng hoặc thiết bị đông lạnh khác, vùng da bị nổi đốm nâu sẽ được làm lạnh, gây tổn thương và sau đó sẽ được loại bỏ trong quá trình hồi phục của da. Cryotherapy thường được sử dụng cho các đốm nâu nhỏ và không gây đau đớn nhiều. Tuy nhiên, điều trị này có thể gây sưng, đỏ và sẹo nhỏ tạm thời.

Cách trị đốm nâu trên mặt tại nhà bằng phương pháp tự nhiên
Ngoài các công nghệ điều trị trên, nếu trên da xuất hiện những đốm nâu thưa thớt, màu nhạt thì bạn có thể áp dụng một số cách tự nhiên để khắc phục ngay tại nhà, như là:
- Sử dụng các loại mặt nạ tự nhiên: Các mặt nạ từ các thành phần tự nhiên như chanh, nha đam, sữa chua có thể giúp làm mờ đốm nâu và làm sáng da.
- Sử dụng các loại kem làm trắng da, giảm sắc tố: Nhiều loại kem làm trắng da trên thị trường chứa thành phần tự nhiên như vitamin C, axit hyaluronic, hoặc chiết xuất từ thảo dược, có thể giúp giảm đốm nâu trên da một cách an toàn. Tuy không nhanh như điều trị bằng laser nhưng vẫn có thể giúp cải thiện tình trạng da nổi đốm nâu không ngứa hiệu quả.
- Sử dụng sản phẩm làm sạch da, tẩy tế bào chết: Các sản phẩm này sẽ giúp kích thích quá trình thay mới làn da, giảm sự xuất hiện của các sắc tố melanin trên bề mặt, từ đó giảm số lượng đốm nâu trên da.
Lưu ý, trước khi áp dụng bất kỳ phương pháp công nghệ hay cách tự nhiên nào để điều trị đốm nâu trên da mặt, tham khảo ý kiến của chuyên gia da liễu là việc cần thiết. Chuyên gia sẽ đánh giá tình trạng da của bạn, xác định loại đốm nâu và đề xuất phương pháp điều trị phù hợp nhất cho bạn.
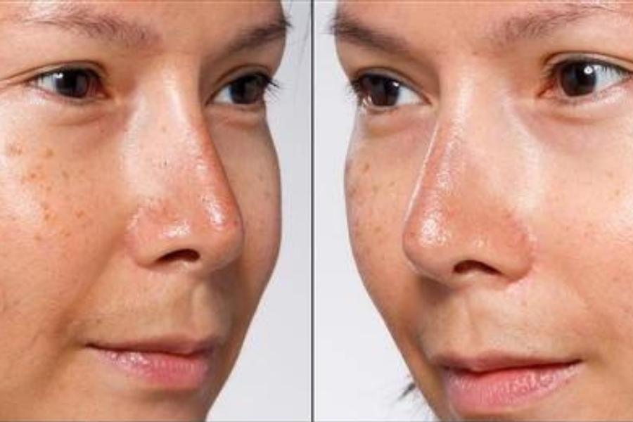
Cách xóa đốm nâu trên da mặt nhanh chóng, an toàn, không đau tại TMV Ngọc Dung
Thẩm mỹ viện Ngọc Dung được đánh giá cao nhờ định hướng điều trị da bài bản, cá nhân hóa theo từng tình trạng da, kết hợp công nghệ hiện đại và đội ngũ chuyên môn giàu kinh nghiệm. Nơi đây được nhiều người tin chọn vì:
- Địa chỉ điều trị nám, đốm nâu uy tín, được đông đảo khách hàng tin chọn.
- Ứng dụng các công nghệ hiện đại: Laser Fractional CO2, IPL, Picosure Pro.
- Phương pháp điều trị không phẫu thuật, ít xâm lấn, hạn chế đau rát.
- Chuyên gia, kỹ thuật viên được đào tạo bài bản, nhiều năm kinh nghiệm.
- Hệ thống thiết bị công nghệ tiên tiến, đạt chuẩn an toàn thẩm mỹ.
Các công nghệ được ứng dụng tại Ngọc Dung đều hướng đến mục tiêu xử lý sắc tố hiệu quả nhưng vẫn đảm bảo an toàn và thời gian hồi phục nhanh cho làn da. Đặc điểm chung của các công nghệ tại Ngọc Dung là:
- Tác động trực tiếp vào melanin, giúp làm mờ đốm nâu, nám da.
- Không xâm lấn sâu, không gây tổn thương lớn cho mô da.
- Thời gian phục hồi ngắn, có thể sinh hoạt bình thường sau điều trị.
- Hỗ trợ cải thiện nhiều vấn đề da khác như: Thâm mụn, sẹo mụn, nếp nhăn, lão hóa da.
Bên cạnh công nghệ, trải nghiệm và sự an tâm của khách hàng cũng là yếu tố được Ngọc Dung đặc biệt chú trọng trong suốt quá trình điều trị. Khi trải nghiệm dịch vụ trị tàn nhang, nám tại đây, bạn sẽ được:
- Thăm khám kỹ lưỡng trước điều trị, xây dựng liệu trình phù hợp.
- Chăm sóc tận tình trong và sau điều trị, hướng dẫn phục hồi da chi tiết.
- Giải đáp rõ ràng mọi thắc mắc, giúp khách hàng an tâm khi làm đẹp.
- Có thể đặt lịch hẹn trước để chủ động thời gian và được tư vấn kỹ hơn.

Liên hệ Ngọc Dung ngay để giữ ưu đãi xóa đốm nâu chỉ 168K cho buổi trải nghiệm đầu tiên bạn nhé!
Cách ngăn ngừa, hạn chế tình trạng lan rộng của đốm nâu trên da
Nếu không muốn mặt xuất hiện nhiều đốm nâu thì bạn nên chăm sóc và bảo vệ da thật kỹ bằng cách duy trì các thói quen tốt sau đây:
- Sử dụng kem chống nắng hàng ngày để bảo vệ da khỏi tác động của tia UV, ngăn chặn sự tăng sinh melanin quá mức.
- Luôn che chắn khi ra ngoài để giảm diện tích tiếp xúc của da với tia UV.
- Tránh ra đường hoặc tiếp xúc với ánh nắng mặt trời trong các khung giờ từ 10 giờ sáng đến 4 giờ chiều, đó là thời điểm có chỉ số UVB cao nhất.
- Sử dụng các sản phẩm chăm sóc da có chứa các thành phần hoạt tính như Vitamin C, Alpha Arbutin, Kojic Acid, Niacinamide để làm dịu da và tăng cường dưỡng sáng da.
- Không ma sát mạnh vào da để tránh những tổn thương không đáng có làm tăng sự xuất hiện của các đốm nâu.
- Duy trì chế độ ăn uống lành mạnh, có đầy đủ các loại thực phẩm giàu vitamin, khoáng chất và chất chống oxy hóa để da luôn khỏe mạnh.
- Nếu da nổi đốm nâu không ngứa ngày càng nhiều thì nên đến phòng khám da liễu để được chẩn đoán chính xác và chỉ định phương pháp điều trị phù hợp.
Câu hỏi thường gặp
Đốm nâu trên da có thể biến mất được không?
Đốm nâu trên da có thể biến mất tự nhiên trong một số trường hợp. Điều này có thể xảy ra khi da tự thay đổi và loại bỏ các tế bào da bị tổn thương chứa hắc sắc tố melanin theo tiến trình tái tạo tự nhiên. Đối với một số người, đốm nâu có thể mờ dần đi theo thời gian mà không cần dùng bất kỳ phương pháp nào. Nhưng phần lớn đều phải trải qua điều trị bài bản thì các đốm nâu mới biến mất hoàn toàn.
Như việc điều trị đốm nâu tàn nhang, cần đến 3-6 tháng mới thấy được sự cải thiện rõ. Nếu chăm sóc tốt thì da sẽ trắng mịn màng sau điều trị, nhưng nếu không chú ý bảo vệ da thì các đốm nâu này vẫn có thể xuất hiện trở lại với xu hướng nặng hơn.
Nổi đốm nâu trên da có xấu không?
Da nổi đốm nâu không ngứa không gây ảnh hưởng sức khỏe, nhưng về mặt thẩm mỹ thì lại khác. Một số người có thể cảm thấy không thoải mái và tự ti vì những đốm nâu này, đặc biệt là khi chúng xuất hiện ở những vùng da như mặt và tay.
Chính vì thế mà khi bị nổi đốm nâu trên da, nhiều người đã lựa chọn xử lý bằng công nghệ hiện đại. Tuy nhiên, nếu không tham khảo kỹ và chọn đúng phương pháp thì tỷ lệ thành công sau điều trị cũng không được cao như mong đợi.

Da có đốm nâu có phải là ung thư da không?
Da đốm nâu không phải lúc nào cũng là dấu hiệu của ung thư da. Trên thực tế, hầu hết các đốm nâu trên da là không gây hại và không liên quan đến ung thư. Đốm nâu thường là kết quả của tăng sản xuất melanin trong da, thường xảy ra do tác động của ánh sáng mặt trời, nội tiết, viêm da hoặc di truyền.
Như đã chia sẻ, da nổi đốm nâu không ngứa không phải là biểu hiện của căn bệnh nguy hiểm. Phần lớn đều xuất hiện do da bị tác động bởi tia UV, rối loạn nội tiết tố, tác dụng phụ của thuốc hay do nhiều nguyên nhân khác nhau dẫn đến. Tình trạng này có thể kéo dài hoặc giảm dần theo thời gian tùy thuộc vào cách bạn xử lý chúng.
Nếu bạn gặp phải những vấn đề đáng lo ngại, như da thường xuyên thay đổi màu sắc, kích thước, hình dạng hoặc các đốm nâu nổi nhiều trong thời gian dài, hãy tìm đến các chuyên gia da liễu để được thăm khám và điều trị đúng cách. Hoặc có thể liên hệ với Ngọc Dung qua hotline *3232 để được chỉ dẫn cụ thể hơn về cách phòng ngừa và loại bỏ các đốm nâu nâu này.
